Silver Creek Nursery Ltd.

Medlar Scionwood

Scionwood is not a tree, yet!

Scionwood, or scions (pronounced 'sigh-ons'), are the young, one-year shoots you graft with in order to propagate a variety. If you want to propagate a Gala apple tree, for example, you would graft with Gala scionwood!

We collect these scions from trees in our test orchards and are happy to be able to offer rare/heritage varieties!

For more information on scionwood and grafting, click HERE!

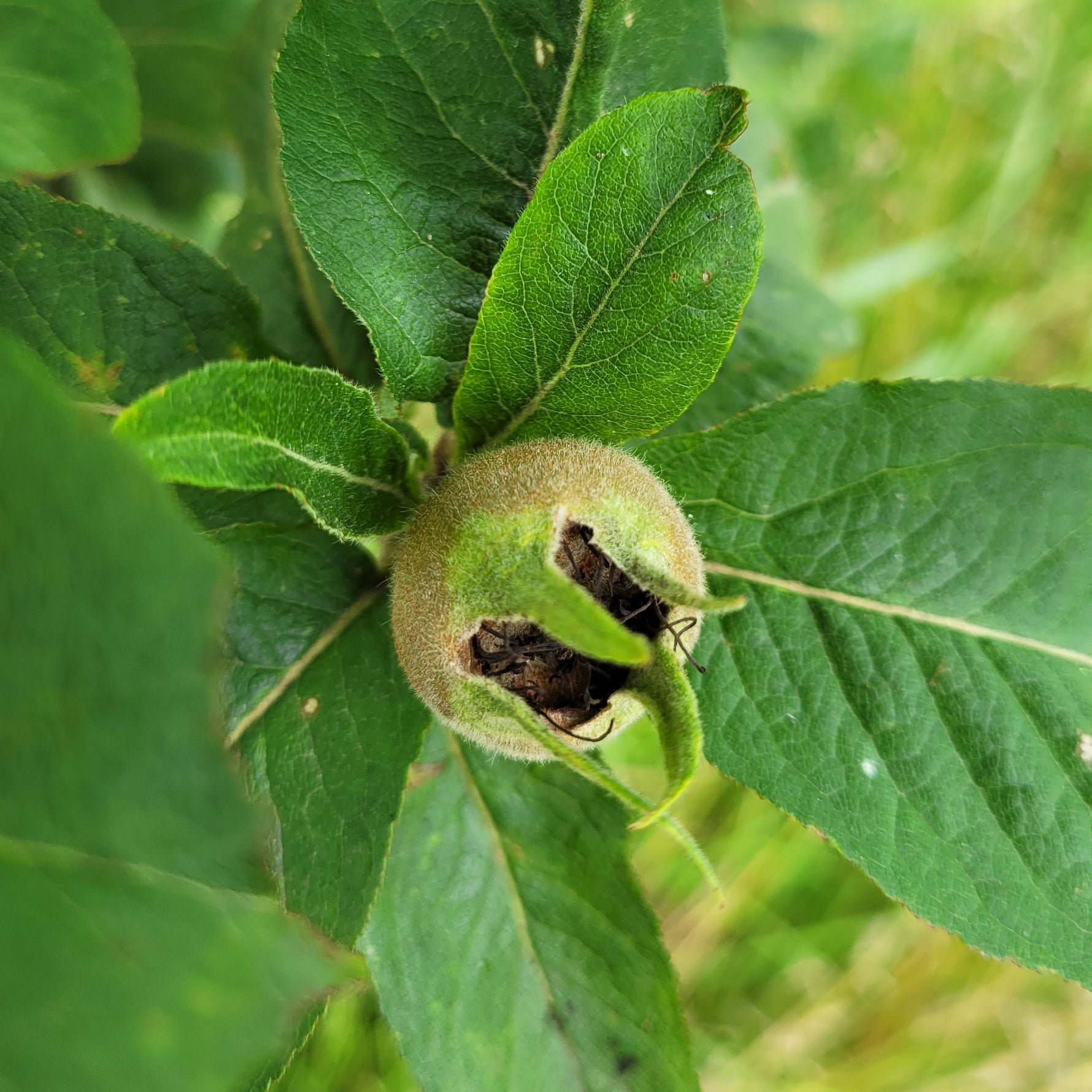
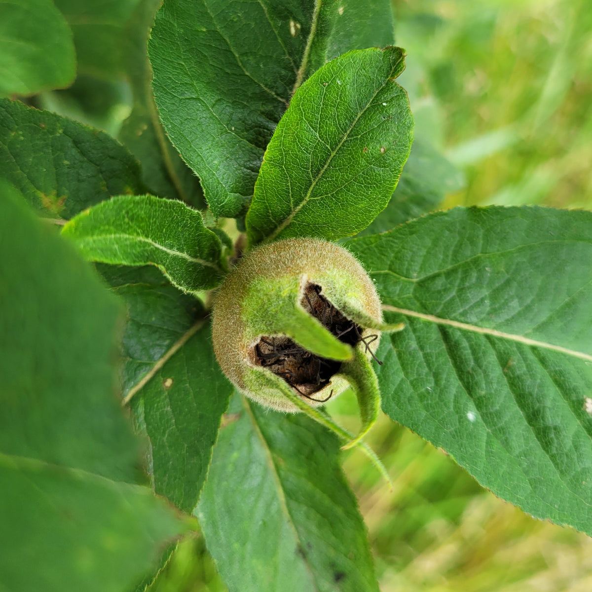
Species: Mespilus germanica

History: Native to parts of Europe and the Middle East, Medlars have been cultivated for thousands of years with records dating back to Ancient Greece and Rome. As one of the few fruits to ripen in the winter, they were an important food plant for a long time. Many literary works, including Shakespeare, reference medlars and often make crass jokes due to their appearance. As better storage and transportation made it easier to access more popular fruits out of season, medlars began to fade out of popularity around the 1800s and are now rarely cultivated.

Why We Grow It: Medlars are truly a unique fruit! When ripe, they are hard and inedible but if you let them blet (essentially rot) they develop a taste and texture similar to applesauce. They can be eaten raw or used to make things like medlar cheese or medlar jelly. It is certainly an acquired taste but a fun option if you are looking or something unique and/or want to enjoy your own fruit into the winter.

$8.50

Propagation Material:

1 low in stock

Fruit Traits:

Recommended Use: Eating once bletted, cooking, baking

Fruit Size: Small

Storage: Store for 1-3 weeks while fruit blets

Harvest: October - Late

Plant Traits:

Canadian Hardiness Zone: 4

Flowering Time: Spring

Pollination Requirements: Self-pollinating, this variety will produce fruit without another medlar but will produce more and better fruit if one is present

Sun/Shade Requirements: Partial shade to full sun (4-10 hours of sunlight). Medlars grow best in full sun but will still produce fruit if grown in partial shade.

General Growth Habit: Shrub can reach 8m tall although cultivated plants often stay 1-6m tall, often round and shrubby. Generally unbothered by pests and diseases.

Shipping: Scionwood can be shipped anytime in the spring, although we generally recommend that customers receive their scionwood by mid-April at the latest to ensure it arrives dormant. We can hold it longer if customers accept the risk that the scionwood may start breaking dormancy after this time.

Pickup: We will notify you as soon as your scionwood is ready. We recommend picking it up as soon as you are able and storing it at home.

Click HERE for tips on storing scionwood!

CLICK HERE to see our shipping policy.

Each scion will have at least 2-4 grafts' worth of material and ideally will be approximately 12-18" or 30cm+ long. Since we specialize in so many varieties/species, there will be natural differences in growth habit and vigour so some varieties may be shorter or thinner. We will provide the best quality we can, within natural restraints.

If a scion is less than 6" or 15cm, it will be discounted accordingly.

Purchasing Bareroot

New to bareroot? We've got you covered on what to expect when ordering bareroot plants

Visit the Blog

Full of orchard education, fun recipes, and other fruit related content!

We are here for you!

Over the last 16 years we have helped thousands of orchardists begin their journey. Questions? Just ask!

Our Standards

We are committed to growing the healthiest, finest plants. Read about our growing standards. It all matters.