Rootstock & Scionwood
Every year we get tons of requests for rootstock and scionwood. While our main business is in the finished product (grafted fruit trees), we also like to support those wishing to learn the grafting process for themselves. We can attest that it is a very enjoyable (and rather addictive) pastime!
Rootstock - Rootstock can be pre-ordered for Spring 2026! If you are interested in rootstock for Spring 2027; please contact us directly to be added to our waitlist.
Scionwood - We are accepting requests for Spring 2026 scionwood orders; please contact us directly if you are interested in being added to our waitlist. Our ordering deadline for scion is January 31st. Please note that scion orders will ship in the 2nd week of April or with your other plants/rootstock if you have ordered more than scion.
For those new to the grafting process, we also offer the following resources:
- Our annual in-person Apple Grafting Workshop!
- Fruit Tree Grafting for Everyone, a handy grafting guide co-authored by Steph who owns Silver Creek Nursery!
- The award-winning Complete Fruit Tree Grafting & Budding Online Course that Steph helped to develop and run!
Sort by:
188 products
188 products
History: Shiro plums (translated from Japanese as 'white') were developed in California and introduced in 1899. They were bred by horticulturalist Luther Burbank who is renowned for his extensive experimentation with creating new plum varieties. Shiro plums are most commonly grown in the United States and Canada.
Why We Grow It: This early Japanese clingstone variety has yellow skin and flesh that is juicy and sweet. The fruit keeps longer than most plums, lasting two to four weeks, and the tree is known for its compact growth and heavy crops.
Why We Grow It: Another successful introduction from the PRI breeding program, Priscilla boasts resistance to most common apple diseases including fireblight and scab. The fruit is also quite attractive with a deep red blush over yellow skin with a sweet and subacid flavour.
History: The history of Quince of Portugal is largely unknown aside from the fact that it was introduced to England in the early 1600s.
Why We Grow It: This quince is often considered to have the best flavour of all quinces. On top of that, the impressive fruits of this variety can weigh up to 1 lb and are juicier than most other cultivars. When ripe, this quince cooks to a lovely crimson coloured puree. It is best to store the fruit indoors for a couple weeks before eating it.
NOTICE: This tree was originally listed as a Maxine pear but upon fruiting we realized there had been a mix-up in the trees we received. Through genetic testing and our own observations, we are pretty sure the trees are actually Red Clapp's but cannot be 100% certain at this time.
History: Red Clapp's Favourite, also known as Kalle Red, is a sport of Clapp's Favourite that was discovered in the 1950s in an orchard in Missouri. Clapp's Favourite normally produces green pears but when this bright red fruit emerged on one branch instead, the mutation was further propagated for its attractive deep red colour.
Why We Grow It: In a strange twist in the fruit tree world, we received these pears by accident when we had ordered in what we thought was scionwood for Maxine pears. When the taste and colour of the pears told us otherwise, we realized there had been a mix-up at some point and our mother tree is most likely a Red Clapp's Favourite based on the fruit and genetic testing. Despite the confusion, we have come to love this all-purpose, flavourful pear which is also noted for its profusion of beautiful white blossoms in spring and its heavy crops.
History: Red Gravenstein is a sport/mutation of the original Gravenstein/Yellow Gravenstein that is a striking bright red. Some say it is also sweeter than the original.
Why We Grow It: With attractive red skin, this is a lovely sport of the original Gravenstein. It is a good quality and sweet early apple that is excellent for home orchards.
History: Redfree is one of the apples developed under the collaborative PRI disease-resistant breeding program run by Purdue University, Rutgers University, and the University of Illinois. It was bred in 1966 and officially introduce to the public in 1980.
Why We Grow It: Redfree apples are great for fresh eating with a pleasant, mildly sweet flavour and softer yet crisp flesh. The fruit does not ripen all at once, allowing a longer eating season. As its name would suggest, it has decent resistance to several common apple diseases.
History: Redhaven peaches were created at Michigan State University's South Haven Research Center as part of the Haven series which began in 1924. Redhaven in particular was developed in the 1930s and released in the 1940s, making it the first commercial red-skinned peach variety. It is now one of the most commonly grown peaches in the world.
Why We Grow It: Redhaven is the most popular peach in North America, its sweet fruit being great for just about anything. The fruit is attractive, juicy, and flavourful and is slow to brown. The flesh does not turn brown when cut as quickly as other varieties. To ensure you can enjoy this great peach as much as possible, the tree begins bearing fruit at a young age, bears heavy crops, and the fruit ripens over a prolonged period of time which requires multiple harvests.
History: Sensation Red Bartlett, a sport or mutation of Bartlett, was discovered as a random mutation on a Bartlett tree growing in Australia in the 1930s. Thanks to its unique red skin and sweeter taste, it was eventually introduced commercially around 1960. It is most commonly grown in Australia and New Zealand.
Why We Grow It: A sport of Bartlett, this pear has the best features of its predecessor but boasts a higher sugar content and cheery red skin. For anyone who is a fan of Bartlett pears and unique yet delicious varieties, this pear is an excellent choice.
History: Reliance peaches were developed in a breeding program at the Agricultural
Extension Station in New Hampshire, where it was grown from seed in 1956. In 1961, the Reliance seedling got its first trial by fire, or ice in this case, as a severe cold spell dropped temperatures to -32°C. That summer only Reliance produced fruit and it was clear that this was a cold hardy winner. This tenacious peach was released in 1964.
Why We Grow It: Reliance is a very hardy variety that can still fruit after a winter low of -32°C, perfect for Canadian growers. The fruit is medium-sized, the skin is a dull red colour over yellow, and the flesh is bright yellow with freestone pit. It also tastes great and the fruit can be eaten fresh or used in baking and preserves.
History: The history of the Seckel pear is somewhat contentious. It was said to have been named after a Mr. Seckel who discovered the variety growing as a sapling near Philadelphia in the late 1700s or early 1800s. Some say it is the only commercial American pear since it was thought to have been a wild seedling but others believe the tree sprouted from a seed left by German immigrants. Either way, this lovely little pear is still grown on a small scale across the States as a specialty fruit.
Why We Grow It: Although it is small in size, this heirloom is popular for eating fresh due to its high quality flavour. The skin is ruddy green with a pronounced red blush and the flesh is very sweet with a spicy flavour, which is why it's sometimes called 'Sugar Pear.' Aside from being excellent for fresh eating, this pear is great canned, pickled, and spiced. As an added bonus, the tree is resistant to fireblight.
Customer Suggestion: One of our wonderful customers shared a recipe for Pickled 'Sickle Pears' (aka Seckel) that had been passed down from his great grandmother. We haven't tested it out yet, but Seckel pears, brown sugar, cinnamon, vinegar and cloves, cooked and marinated, then pickled sounds very intriguing! Thanks for sharing David!
History: Rhode Island Greening emerged around 1650 where it was grown from seed by a Mr. Green near Green's End, Rhode Island. Mr. Green owned a tavern and often gave scions from the original tree to his customers, although the tree eventually died from the demand for scionwood. The name was originally the descriptive 'Green's Inn apple from Rhode Island' and later shortened to 'Rhode Island Greening.'* This apple was commonly grown in New York and is still quite common today.
*Fun fact: The Ontario ghost town Unopark got its name in a similar way. It was originally founded by Richard Parker, Mouse's ancestor, and the name is a shortened version of 'You know the Parkers?'
Why We Grow It: This apple's long-lasting popularity is due to its reputation as perhaps the definitive American pie-making apple. The large, dark-green apple is too tart to be eaten fresh but is great in pies and holds its shape well when cooked. It also produces nicely in our test orchard, producing large, blemish-free fruit despite it's generally poor disease resistance.
History: This heirloom sweet cherry originates from Arkona, Ontario where it was developed and grown by Ed Richter.
Why We Grow It: As an Ontario bred and raised sweet cherry, Richter cherries are well-suited to growing in our local conditions. We were fortunate to acquire this variety just before the removal of some very old Richter trees.
Why We Grow It: Scarlet Vivian is quite similar to Dolgo although a little larger. For those who like very tart apples, this is an excellent one for fresh eating! The flavour is rich and complex, but balanced enough that it is quite enjoyable. However, Scarlet Vivian is best made into a jelly where its red colouration really shines. It may also have potential in cider blends. Based on Ken's observations, the tree appears to be relatively free of pest and disease issues.
History: In 1817 Joel Gillet accidentally received Rome Beauty as a seedling in a shipment of nursery trees. His son planted the seedling along the Ohio River in Rome Township. When it began producing lovely red apples, Gillet's cousin started a nursery to propagate and promote it. Originally named Gillet's Seedling, the name was later changed to Rome Beauty in 1832 to honour the township. The original tree collapsed in the 1850s due to bank erosion but the variety still remains popular in the United States today.
Why We Grow It: The fruit is deep red, large, and slightly conical with cream coloured flesh. It has a mild flavour compared to something with more character like a russet, though still an excellent snacking apple. It makes a good cooking apple too since it keeps its shape when cooked. It also stores exceptionally well, lasting all winter long.
History: Royal Gala is a natural sport (mutation) of the Gala apple that was patented by Stark Bro's Nurseries in 1977. It boasts a deeper red colouring than the original Gala which makes it more visually appealing. In New Zealand, where the Gala apple originated, it has been almost entirely replaced by the Royal Gala in commercial growing operations.
Why We Grow It: Like the Gala apple, Royal Gala is popular for a reason. It is juicy and crisp with a sweet flavour and the fruit stores quite well.
History: Rouville apples were created by R.L. Granger and G.L. Rouselle in 1962 at the Agriculture and Agri-food Canada research centre located in St.-Jean-sur-Richelieu, Quebec. The variety was introduced in 1983.
Why We Grow It: This lovely Quebec cider apple has a wonderful bitter-sweetness that is great for fresh eating and juicing and sauce. It is resistant to scab and has grown very well in our test orchard.
History: Diva was developed at Agriculture and Agri-Food Canada's St-Jean-sur-Richelieu Research Centre in Quebec by Shahrokh Khanizadeh. It was first bred in 1971 and underwent vigorous testing for fruit quality, cold hardiness, and disease resistance until its release in 2009. It is considered the first scab resistant apple released specifically for northern fresh eating and cider markets!
Why We Grow It: Diva doesn't disappoint after its many years of testing. This crisp apple boasts and excellent sweet flavour with some tartness and it is great for fresh eating, adding to salads and charcuterie boards, cider, and pies. It has done well in our orchard, producing reliable crops with few disease issues.
History: Eden™ was developed at Agriculture and Agri-Food Canada's Horticultural Research an Development Centre in St-Jean-sur-Richelieu, Quebec by Shahrokh Khanizadeh. The cross between Linda and Jonamac was made in 1971 and the resulting variety was released in 1985 due to its disease resistance and slow browning.
Why We Grow It: Eden™ produces medium to large crisp apples that boast a sweet, aromatic quality with some tartness. They are great for fresh eating and making cider. The fruit is also resistant to bruising and browning, making them an excellent candidate for drying and making into apple chips.
History: Galarina™ originated in France at the Fruit and Ornamental Plant Breeding Unit of the Institut National de la Recherche Agronomique in Angers as a cross between Gala and Florina (hence its name) in 1985. It was then sent to Quebec for further evaluation by Shahrokh Khanizadeh at Agriculture and Agri-Food Canada's station in St-Jean-sur-Richelieu and released by the Quebec Apple Breeding Program.
Why We Grow It: Galarina™ produces an apple on the smaller side that bears a strong resemblance to Gala. Unlike Gala, it boasts excellent disease resistance, better cold hardiness, slower browning, and improved storage capabilities. This little apple is an excellent choice for anyone who would prefer if Gala apples were a little more hardy!
Species: Malus baccata var. mandshurica or M. mandshurica depending on which taxonomist you ask!
History: Manchurian crabapples are native to China, eastern Russia, Japan, and North Korea where they have been used for rootstock and bonsai. It is quite attractive as an ornamental tree so has spread to Europe and North America as well. Thanks to its excellent cold-hardiness, it is often used in experiments to breed and graft more cold hardy apple varieties.
Why We Grow It: Manchurian crabapples are most commonly grown for their ornamental qualities, boasting large numbers of white flowers in the spring. The small, tart fruits produced by Manchurian crabapples are often a bit intense for eating, but do well in cider and jelly! If you don't want to eat them, they are also great for feeding wildlife.
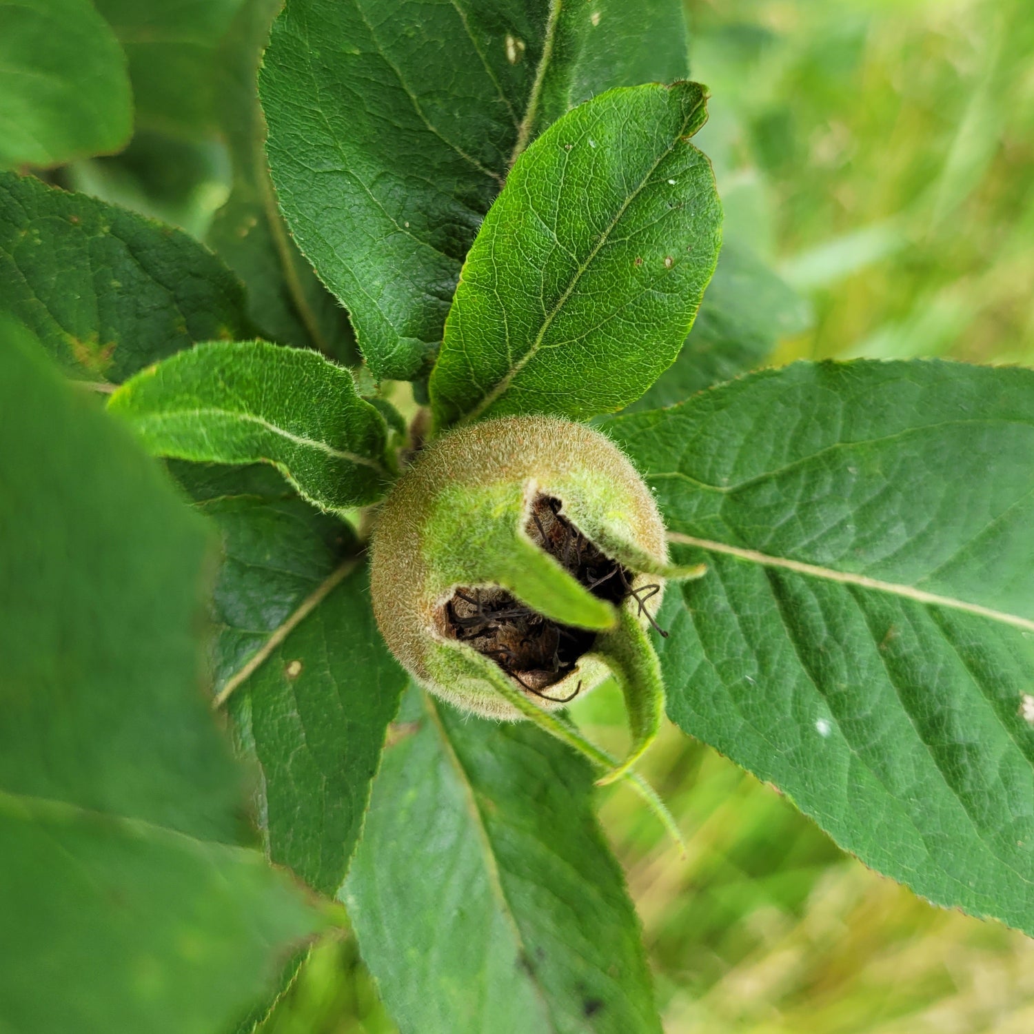
Species: Mespilus germanica
History: Native to parts of Europe and the Middle East, Medlars have been cultivated for thousands of years with records dating back to Ancient Greece and Rome. As one of the few fruits to ripen in the winter, they were an important food plant for a long time. Many literary works, including Shakespeare, reference medlars and often make crass jokes due to their appearance. As better storage and transportation made it easier to access more popular fruits out of season, medlars began to fade out of popularity around the 1800s and are now rarely cultivated.
Why We Grow It: Medlars are truly a unique fruit! When ripe, they are hard and inedible but if you let them blet (essentially rot) they develop a taste and texture similar to applesauce. They can be eaten raw or used to make things like medlar cheese or medlar jelly. It is certainly an acquired taste but a fun option if you are looking or something unique and/or want to enjoy your own fruit into the winter.
History: Milwaukee was discovered around 1890 as a chance seedling growing on the farm of George Jeffrey is Milwaukee, Wisconsin. Named for its city of origin, it was first grown commercially around 1899 but is now considered rare today. DNA testing has shown that it is a seedling of Duchess, imparting excellent cold hardiness on this variety.
Why We Grow It: Milwaukee produces a large, red apple that is crisp, juicy, with a tart flavour that is a bit more intense than most people like for fresh eating. It instead shines when used for cooking, pies, and cider. For those looking an nice multi-purpose apple that is quite cold hardy, this is an excellent option!
History: Northwest Greening was grown from seed in 1849 by Jasen Hatch in Wisconsin with the intention of using it as rootstock. The graft ultimately failed and the rootstock grew into its own tree which grabbed the attention of E.W. Daniels in the 1870s when he sampled the fruit. He introduced Northwest Greening commercially in 1872 and it gained moderate success in the US.
Why We Grow It: Northwest Greening produces a medium to large green apple that is firm, dnese, and crisp. It has a sweet-tart flavour that is best suited to making pies and cider, both of which it is known for. The tree itself boasts decent disease-resistance and cold hardiness.
Species: Prunus pumila var. besseyi (Western sandcherry) x P. salicina (Japanese Plum)
History: Opata was developed by Dr. N.E. Hansen who was a professor of horticulture at South Dakota State University from 1895 to 1950. He helped pioneer chum development in an effort to create plants hardy enough to survive in the northern prairies. Opata is the Sioux word for 'bouquet', following Hansen's tradition of naming his native plant crosses after words from local indigenous cultures.
Why We Grow It: Opata produces a red chum with yellow flesh that is freestone, firm, juicy, and considered to be one of the better tasting chums. It is pleasantly sweet with only a hint of acidity. It is good for fresh eating as well as jams, jellies, preserves, and pies. Like other chums, the shrub itself is compact, cold hardy, and relatively free of pests and disease.
History: Red Spy is a red sport of Northern Spy that was discovered in New York in 1895. It has many of the same qualities of Northern Spy but is generally larger and redder.
Why We Grow It: Like Northern Spy, Red Spy apples are juicy with a balanced sweet-tart honeyed flavour. Unlike the original, they boast a brighter red exterior and the fruit tends to be a little larger. They do tend to bruise easily due to their thin skin. To make up for that, they are known for making wonderful pies. The trees are cold hardy and vigorous.
History: Twenty Ounce (aka Cayuga Redstreak) was discovered sometime in the early 1800s in Cayuga County, New York. It was first officially described in an 1844 issue of "The Magazine of Horticulture" by C.M. Hovey who called it Twenty Ounce due to its notable size.
Why We Grow It: These very large apples are excellent for cooking and make wonderful pies and applesauce. Save time with peeling and coring! They are a little tart for eating fresh, but makes an exceptional ingredient that keeps its shape when cooked.
History: Timpurii de Dâmboviţa (potentially translated from Romanian as Early Dâmboviţa) was introduced in 1967 from the Research Station for Fruit Growing located in the village of Voinești in the county of Dâmbovița in Romania. It was the first pear released from this breeding program which focused on creating fruit of excellent quality.
Why We Grow It: Timpurii de Dâmboviţa is a nice early ripening pear. It is great for fresh eating.
History: Summer Rambo was first described in 1535 in France where it is known as Rambour d'Ete, named for its early ripening and the village of Rambures. It arrived in colonial America where it was called Summer Rambour which became Summer Rambo sometime before the 1850s. Its short shelf life means it never reached commercial success but it is a popular early apple at u-pick orchards and farmers' markets.
Why We Grow It: Summer Rambo produces oblong apples that are green with a red blush that ripen relatively early in the summer. This crisp, aromatic apple has a wine-like flavour that is good for fresh eating, cider, and sauce. Although it does not store well, it is a delightful summer treat!
History: Spigold (aka Spy Gold) was developed at the New York Agricultural Experiment Station in Geneva, New York and released in 1962. It is a cross between Red Spy and Golden Delicious that has remained somewhat popular in North America.
Why We Grow It: Spigold marries the best qualities of Golden Delicious and Red Spy. It produces very large apples that are crisp and juicy with a honeyed sweet/tart flavour. These large apples are excellent for fresh eating, making applesauce, baking into pies, and making into cider. They also store quite well and some say the flavour actually improves in storage.
History: Vernon was developed at the Horticultural Experiment Station at Vineland, ON. It is an open-pollinated seedling of Windsor that was selected in 1925 and released in 1937. Like the other Vineland selections, its name starts with a 'v' to honour its origins. While it was grown commercially for some time, it has since faded out of commercial orchards as it became eclipsed by newer, better varieties.
Why We Grow It: Vernon produces a large, dark-fleshed cherry that is similar to its parent but is generally larger, firmer, and of better quality. It is unfortunately more prone to cracking than Windsor.
